Gewerbeanwesen zum Kauf | 11.000 m² Nutzfläche | 70.000 m² Grundstück zur Erweiterung
Eckdaten
| Objekt-ID: | 66924 |
| Lage: | 01640 Coswig |
| Immobilienart: | Gewerbeanwesen (Invest.) |
| Grundstücksfläche: | ca. 70.000 m² |
| Lagerfläche: | ca. 1.000 m² |
| Gewerbefläche: | ca. 11.079,00 m² |
| Gesamtfläche: | ca. 11.079 m² |
| Bezugstermin: | ab sofort |
| Kaufpreis: | 3.500.000,00 € |
| Kaufpreis/m²: | 315,91 € |
| Käuferprovision: | 7,14% |
| Mieteinnahmen (Ist): | 465.000,00 € |
| Mieteinnahmen (Soll): | 465.000,00 € |
Beschreibung
Zum Verkauf steht ein ca. 70.000 m² großes Gewerbegrundsstück, welches mit diversen Lager- und Produktionsgebäuden bebaut ist. Das Areal ist Teil eines ehem. Produktionsbetriebes mit über 1.500 Beschäftigten. Das Grundstück bietet vor allem weiteres Wachstumspotential auf Grund unbebauter Freiflächen. Die Halle 1 und 2 sind kurzfristig vermietet. Die aktuelle Miete liegt bei 9.500 € pro Monat (Nettokalt).
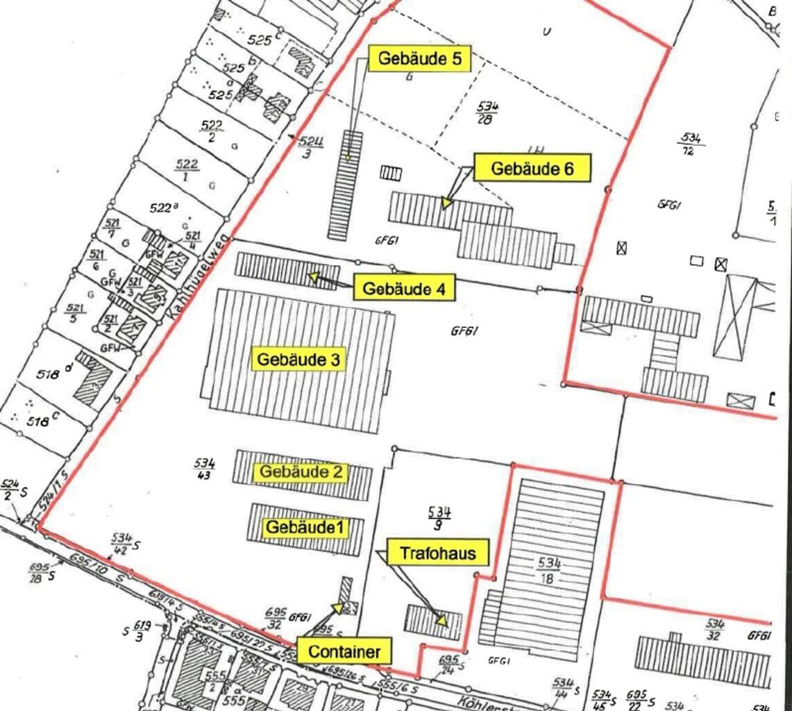
Die Gebäude teilen sich wie folgt auf:
Gebäude 1: Halle rund 1.000 m², ebenerdig befahrbar, Außenwände massiv, Dach Stahlkonstruktion Trapezblech gedämmt,
Gasheizlüfter + Radiatoren per Fernwärme aus Gebäude 3, 5 t Krananlage, LED-Beleuchtung, Druckluft aus Gebäude 3, 2 Rolltore an den jeweiligen Stirnseiten, FH 9 m TH 8 m
Gebäude 2: Halle mit ca. 965 m² Nutzfläche, ebenerdig befahrbar, Außenwände massiv, Dach Betonbinder massiv, Radiatoren per Fernwärme
aus Gebäude 3, 2 Rolltore an einer Stirnseite + an der Nordseite, WCs vorhanden
Gebäude 3: Halle mit ca. 5.100 m² Nutzfläche, ca. 1.000 m² Nutzfläche Keller, Außenwände massiv, beheizt, Büros und WCs vorhande, befahrbar über Rolltore
Gebäude 4: ca. 583 m² Nutzfläche, Außenwände massiv, beheizbar
Gebäude 5: ca. 467 m² Nutzfläche, Außenwände massiv, beheizbar
Gebäude 6: ca. 1.625 m² Nutzfläche, ca. 343 m² Keller, Außenwände massiv, beheizbar
Das Grundstück verfügt darüber hinaus einen großen Parkplatz und weitere Freiflächen, die sich ideal für die Erweiterung eignen.
Bei Interesse stimmen wir gern einen Besichtigungstermin ab.
Die Gebäude teilen sich wie folgt auf:
Gebäude 1: Halle rund 1.000 m², ebenerdig befahrbar, Außenwände massiv, Dach Stahlkonstruktion Trapezblech gedämmt,
Gasheizlüfter + Radiatoren per Fernwärme aus Gebäude 3, 5 t Krananlage, LED-Beleuchtung, Druckluft aus Gebäude 3, 2 Rolltore an den jeweiligen Stirnseiten, FH 9 m TH 8 m
Gebäude 2: Halle mit ca. 965 m² Nutzfläche, ebenerdig befahrbar, Außenwände massiv, Dach Betonbinder massiv, Radiatoren per Fernwärme
aus Gebäude 3, 2 Rolltore an einer Stirnseite + an der Nordseite, WCs vorhanden
Gebäude 3: Halle mit ca. 5.100 m² Nutzfläche, ca. 1.000 m² Nutzfläche Keller, Außenwände massiv, beheizt, Büros und WCs vorhande, befahrbar über Rolltore
Gebäude 4: ca. 583 m² Nutzfläche, Außenwände massiv, beheizbar
Gebäude 5: ca. 467 m² Nutzfläche, Außenwände massiv, beheizbar
Gebäude 6: ca. 1.625 m² Nutzfläche, ca. 343 m² Keller, Außenwände massiv, beheizbar
Das Grundstück verfügt darüber hinaus einen großen Parkplatz und weitere Freiflächen, die sich ideal für die Erweiterung eignen.
Bei Interesse stimmen wir gern einen Besichtigungstermin ab.
Lage
Dieses Gewerbeareal befindet sich in Coswig, im Ortsteil Neusörnewitz, innerhalb eines Gewerbegebietes.
Neusörnewitz befindet sich im nordwestlichen Teil des Elbtalkessels im Nordwesten des Coswiger Stadtgebiets. Der Ortsteil Neusörnewitz dehnt sich hierbei über den nordöstlichen Teil der Gemarkung Sörnewitz und den Norden der Gemarkung Brockwitz aus. Geprägt wird der Ortsteil durch ausgedehnte Industrieflächen und Gewerbegebiete und Wohnsiedlungen. Mit dem Haltepunkt Neusörnewitz besitzt der Ortsteil einen Anschluss an das Dresdner S-Bahn-Netz.
Coswig ist eine Große Kreisstadt im sächsischen Landkreis Meißen und liegt im dicht besiedelten Elbtal zwischen Meißen im Nordwesten und Radebeul bzw. Dresden im Südosten. Angrenzende Gemeinden im Landkreis Meißen sind Klipphausen, die Stadt Meißen, Moritzburg, die Stadt Radebeul und Weinböhla. Zu Coswig gehören neben der Kernstadt die Ortsteile Kötitz, Neucoswig, Brockwitz , Sörnewitz und Neusörnewitz.
Durch Coswig verläuft die Straßenbahnlinie 4 der Dresdner Verkehrsbetriebe, die sechs Haltestellen in der Stadt bedient. Die Fahrtzeit von Coswig ins Dresdner Stadtzentrum beträgt mit der Straßenbahn rund 45 Minuten.
Neusörnewitz befindet sich im nordwestlichen Teil des Elbtalkessels im Nordwesten des Coswiger Stadtgebiets. Der Ortsteil Neusörnewitz dehnt sich hierbei über den nordöstlichen Teil der Gemarkung Sörnewitz und den Norden der Gemarkung Brockwitz aus. Geprägt wird der Ortsteil durch ausgedehnte Industrieflächen und Gewerbegebiete und Wohnsiedlungen. Mit dem Haltepunkt Neusörnewitz besitzt der Ortsteil einen Anschluss an das Dresdner S-Bahn-Netz.
Coswig ist eine Große Kreisstadt im sächsischen Landkreis Meißen und liegt im dicht besiedelten Elbtal zwischen Meißen im Nordwesten und Radebeul bzw. Dresden im Südosten. Angrenzende Gemeinden im Landkreis Meißen sind Klipphausen, die Stadt Meißen, Moritzburg, die Stadt Radebeul und Weinböhla. Zu Coswig gehören neben der Kernstadt die Ortsteile Kötitz, Neucoswig, Brockwitz , Sörnewitz und Neusörnewitz.
Durch Coswig verläuft die Straßenbahnlinie 4 der Dresdner Verkehrsbetriebe, die sechs Haltestellen in der Stadt bedient. Die Fahrtzeit von Coswig ins Dresdner Stadtzentrum beträgt mit der Straßenbahn rund 45 Minuten.
Ausstattungsbeschreibung
* umzäuntes Grundstück
* elektrisches Tor
* Parkplatz
* befahrbare Hallen
* Druckluft in den Hallen vorhanden (Kompressor in Halle 3)
* Gebäude beheizbar
* Gas-Heizung für alle Hallen
* Kranbahn in Halle 1
* Büro- und Verwaltungsflächen
* Erweiterungspotential
* Dacheindeckung Instandgesetzt
* elektrisches Tor
* Parkplatz
* befahrbare Hallen
* Druckluft in den Hallen vorhanden (Kompressor in Halle 3)
* Gebäude beheizbar
* Gas-Heizung für alle Hallen
* Kranbahn in Halle 1
* Büro- und Verwaltungsflächen
* Erweiterungspotential
* Dacheindeckung Instandgesetzt
Bebaubarkeit
Das Grundstück ist nach §34 BauGB bebaubar. Es gibt für das Areal einen festgesetzten Rahmenplan, der die Baugrenzen klar definiert.
Sonstiges
Haftungsausschluss: Trotz sorgfältiger Bearbeitung von Daten, Bildern und Informationen übernehmen wir keine Haftung für die Richtigkeit der Angaben, ebenso wenig für die Lieferfähigkeit des Angebotes bei Vermietung bzw. Verkauf. Bitte beachten Sie hierzu unsere allgemeinen Geschäftsbedingungen die Sie unter www.der-immo-tip.de einsehen können.
Kontakt
Robert Haupt
Semperstraße 1
01069 Dresden
E-Mail:haupt@der-immo-tip.de
Telefon:0351 433 13 0
Telefax:0351 433 13 18
Semperstraße 1
01069 Dresden
E-Mail:haupt@der-immo-tip.de
Telefon:0351 433 13 0
Telefax:0351 433 13 18

Objekt anfragen
while(allpics.length > 0){
allpics.pop();
}
var objnummer ="66924";var pic0 = new Image();pic0.src = 'uploads/pics/immo/1/_processed_/2/3/csm_66924-a_vogelperspektive_9e1cffabf9.jpg';
allpics.push('uploads/pics/immo/1/_processed_/2/3/csm_66924-a_vogelperspektive_9e1cffabf9.jpg');
var pic1 = new Image();pic1.src = 'uploads/pics/immo/1/_processed_/4/6/csm_66924-b1_vogelperspektive_ff37c37b0e.jpg';
allpics.push('uploads/pics/immo/1/_processed_/4/6/csm_66924-b1_vogelperspektive_ff37c37b0e.jpg');
var pic2 = new Image();pic2.src = 'uploads/pics/immo/1/_processed_/3/c/csm_66924-b2_vogelperpsektive_eeb961f7a2.jpg';
allpics.push('uploads/pics/immo/1/_processed_/3/c/csm_66924-b2_vogelperpsektive_eeb961f7a2.jpg');
var pic3 = new Image();pic3.src = 'uploads/pics/immo/1/_processed_/a/7/csm_66924-b3_impressionen_haus_1_und_2_e4d105bed2.jpg';
allpics.push('uploads/pics/immo/1/_processed_/a/7/csm_66924-b3_impressionen_haus_1_und_2_e4d105bed2.jpg');
var pic4 = new Image();pic4.src = 'uploads/pics/immo/1/_processed_/7/9/csm_66924-b4_impressionen_haus_3_d309bedb46.jpg';
allpics.push('uploads/pics/immo/1/_processed_/7/9/csm_66924-b4_impressionen_haus_3_d309bedb46.jpg');
var pic5 = new Image();pic5.src = 'uploads/pics/immo/1/_processed_/6/a/csm_66924-b5_impressionen_haus_4_83bbdc8ad6.jpg';
allpics.push('uploads/pics/immo/1/_processed_/6/a/csm_66924-b5_impressionen_haus_4_83bbdc8ad6.jpg');
var pic6 = new Image();pic6.src = 'uploads/pics/immo/1/_processed_/3/8/csm_66924-b6_impressionen_haus_5_9755951480.jpg';
allpics.push('uploads/pics/immo/1/_processed_/3/8/csm_66924-b6_impressionen_haus_5_9755951480.jpg');
var pic7 = new Image();pic7.src = 'uploads/pics/immo/1/_processed_/5/0/csm_66924-b7_impressionen_haus_6_5760266206.jpg';
allpics.push('uploads/pics/immo/1/_processed_/5/0/csm_66924-b7_impressionen_haus_6_5760266206.jpg');
var pic8 = new Image();pic8.src = 'uploads/pics/immo/1/_processed_/4/6/csm_66924-b9_arealuebersicht_1ccd4c6c07.jpg';
allpics.push('uploads/pics/immo/1/_processed_/4/6/csm_66924-b9_arealuebersicht_1ccd4c6c07.jpg');
Weitere Objekte zu Ihrer Suche
Kontakt
Telefonkontakt
| Immobilienmakler | |
| Dresden: | 0351 433 130 |
| Leipzig: | 0341 600 539 90 |
| Chemnitz: | 0371 238 710 600 |
| Rostock: | 0381 128 736 10 |
| Hausverwaltung | |
| Dresden: | 0351 213 914 60 |
| Mietersprechzeiten | |
| Montag: | 09:00 - 12:00 Uhr 13:00 - 17:00 Uhr |
| Mittwoch: | 09:00 - 12:00 Uhr |
| Donnerstag: | 09:00 - 12:00 Uhr 13:00 - 15:30 Uhr |












































































































































































































































































































































































































































































































