Barrierefrei erreichbare Bürofläche in Zentrumsnähe zur Miete
Eckdaten
| Objekt-ID: | 100025 |
| Lage: | 01159 Dresden |
| Immobilienart: | Bürofläche |
| Bürofläche: | ca. 83 m² |
| Gesamtfläche: | ca. 83 m² |
| Baujahr: | 1996 |
| Bezugstermin: | 1.6.2026 |
| Nettokaltmiete/Monat: | 821,70 € |
| Nettokaltmiete/m²/Monat: | 10,00 € |
| Nebenkosten/m²/Monat: | 463,00 € |
Beschreibung
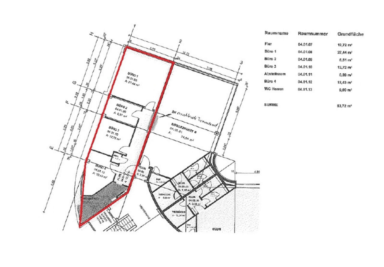
Zur Vermietung steht eine ca. 83 m² große Bürofläche im 4. Obergeschoss eines Bürohauses. Die Mietfläche umfasst vier helle Büroräume, eine Teeküche sowie einen Sanitärbereich. Zusätzlich steht Ihnen eine ca. 10 m² große Kellerfläche zur Verfügung – ideal als Lagerfläche oder Archiv.
Bei Bedarf können Sie Tiefgaragenstellplätze für je 50 € monatlich pro Stellplatz anmieten.
Die Immobilie ist ein voll vermietetes Geschäftshaus bestehen aus 2 Gebäudeteilen (Vorder- und Hinterhaus) mit Ladenflächen im Erdgeschossbereich und Büroflächen in den oberen Etagen. Zu den langjährigen Mietern zählen u.a. IT-Unternehmen, Ingenieurbüros, Bildungsträger, Dienstleister und ein Sportstudio. Im Kellergesschoss befindet sich die hauseigene Tiefgarage. Ein Personenaufzug verbindet die einzelnen Etagen.
Bei Interesse stimmen wir gern einen Besichtigungstermin ab.
Bei Bedarf können Sie Tiefgaragenstellplätze für je 50 € monatlich pro Stellplatz anmieten.
Die Immobilie ist ein voll vermietetes Geschäftshaus bestehen aus 2 Gebäudeteilen (Vorder- und Hinterhaus) mit Ladenflächen im Erdgeschossbereich und Büroflächen in den oberen Etagen. Zu den langjährigen Mietern zählen u.a. IT-Unternehmen, Ingenieurbüros, Bildungsträger, Dienstleister und ein Sportstudio. Im Kellergesschoss befindet sich die hauseigene Tiefgarage. Ein Personenaufzug verbindet die einzelnen Etagen.
Bei Interesse stimmen wir gern einen Besichtigungstermin ab.
Lage
* befindet sich im Stadtteil Dresden Südvorstadt
* Zentrumsnah gelegen
* World Trade Center nur wenige Meter entfernt
* verkehrsgünstig gelegen (Bahn, Bus und Bahnhof)
* weitere Gewerbetreibende im Objekt
* wenige Fahrminuten zur Autobahnauffahrt A4 und 17
* Einkaufsmöglichkeiten nur 5 Minuten entfernt
* Tiefgaragenstellplätze vorhanden
* Zentrumsnah gelegen
* World Trade Center nur wenige Meter entfernt
* verkehrsgünstig gelegen (Bahn, Bus und Bahnhof)
* weitere Gewerbetreibende im Objekt
* wenige Fahrminuten zur Autobahnauffahrt A4 und 17
* Einkaufsmöglichkeiten nur 5 Minuten entfernt
* Tiefgaragenstellplätze vorhanden
Ausstattungsbeschreibung
* Barrierefreier Zugang
* Anschlüsse für eine Teeküche
* Verkabelung über Fensterbankkanäle
* Flexible Raumstruktur durch Trockenbau
* Personenaufzug
* Tiefgarage (Doppel- und Einzelparker)
* teilweise Teppichbelag und Vinylboden
* abgehangene Decke inklusive Beleuchtung
Umbauten nach Mieterwünschen können in Abstimmung mit dem Vermieter erfolgen.
* Anschlüsse für eine Teeküche
* Verkabelung über Fensterbankkanäle
* Flexible Raumstruktur durch Trockenbau
* Personenaufzug
* Tiefgarage (Doppel- und Einzelparker)
* teilweise Teppichbelag und Vinylboden
* abgehangene Decke inklusive Beleuchtung
Umbauten nach Mieterwünschen können in Abstimmung mit dem Vermieter erfolgen.
Sonstiges
Haftungsausschluss: Trotz sorgfältiger Bearbeitung von Daten, Bildern und Informationen übernehmen wir keine Haftung für die Richtigkeit der Angaben, ebenso wenig für die Lieferfähigkeit des Angebotes bei Vermietung bzw. Verkauf. Bitte beachten Sie hierzu unsere allgemeinen Geschäftsbedingungen die Sie unter www.der-immo-tip.de einsehen können.
Energieeffizienz
| Energieausweistyp: | Verbrauchsausweis |
| Denkmalschutz: | Nein |
Kontakt

Objekt anfragen
while(allpics.length > 0){
allpics.pop();
}
var objnummer ="100025";var pic0 = new Image();pic0.src = 'uploads/pics/immo/1/_processed_/f/2/csm_6dc36a4d-97df-4d77-a33a-2d364e9b02e1_eccbb01dc6.jpg';
allpics.push('uploads/pics/immo/1/_processed_/f/2/csm_6dc36a4d-97df-4d77-a33a-2d364e9b02e1_eccbb01dc6.jpg');
var pic1 = new Image();pic1.src = 'uploads/pics/immo/1/_processed_/b/d/csm_148fc38c-7d30-4325-9a34-7f9be6d60b5c_76f0aad9c2.jpg';
allpics.push('uploads/pics/immo/1/_processed_/b/d/csm_148fc38c-7d30-4325-9a34-7f9be6d60b5c_76f0aad9c2.jpg');
var pic2 = new Image();pic2.src = 'uploads/pics/immo/1/_processed_/2/9/csm__461981_18916a0749.jpg';
allpics.push('uploads/pics/immo/1/_processed_/2/9/csm__461981_18916a0749.jpg');
var pic3 = new Image();pic3.src = 'uploads/pics/immo/1/_processed_/5/f/csm_d12163e6-569a-46be-b8ec-0948eed1b1e5_0f1d3ec562.jpg';
allpics.push('uploads/pics/immo/1/_processed_/5/f/csm_d12163e6-569a-46be-b8ec-0948eed1b1e5_0f1d3ec562.jpg');
var pic4 = new Image();pic4.src = 'uploads/pics/immo/1/_processed_/1/7/csm_f6be61a2-9177-4c03-bff9-fb0b79480067_0a9b8b20ab.jpg';
allpics.push('uploads/pics/immo/1/_processed_/1/7/csm_f6be61a2-9177-4c03-bff9-fb0b79480067_0a9b8b20ab.jpg');
var pic5 = new Image();pic5.src = 'uploads/pics/immo/1/_processed_/6/4/csm_42e0ebc3-b30d-4538-821f-7c92d60148ee_3ed4d94797.jpg';
allpics.push('uploads/pics/immo/1/_processed_/6/4/csm_42e0ebc3-b30d-4538-821f-7c92d60148ee_3ed4d94797.jpg');
var pic6 = new Image();pic6.src = 'uploads/pics/immo/1/_processed_/3/8/csm_61e85b98-4fa8-4ddc-ba99-333d0acecb04_778d07b142.jpg';
allpics.push('uploads/pics/immo/1/_processed_/3/8/csm_61e85b98-4fa8-4ddc-ba99-333d0acecb04_778d07b142.jpg');
var pic7 = new Image();pic7.src = 'uploads/pics/immo/1/_processed_/f/b/csm_5c9af212-dadf-4719-9f16-499cdbabdec4_68b5e8ed1c.jpg';
allpics.push('uploads/pics/immo/1/_processed_/f/b/csm_5c9af212-dadf-4719-9f16-499cdbabdec4_68b5e8ed1c.jpg');
var pic8 = new Image();pic8.src = 'uploads/pics/immo/1/_processed_/3/d/csm_b3524385-916f-4599-97a8-877b9183768c_3f67c37480.jpg';
allpics.push('uploads/pics/immo/1/_processed_/3/d/csm_b3524385-916f-4599-97a8-877b9183768c_3f67c37480.jpg');
var pic9 = new Image();pic9.src = 'uploads/pics/immo/1/_processed_/6/9/csm_8e0c9a1e-bcb7-41a0-9eac-bb863c0f976d_8ca6002e0d.jpg';
allpics.push('uploads/pics/immo/1/_processed_/6/9/csm_8e0c9a1e-bcb7-41a0-9eac-bb863c0f976d_8ca6002e0d.jpg');
var pic10 = new Image();pic10.src = 'uploads/pics/immo/1/_processed_/f/6/csm_7a62a201-b2d1-4881-855e-497786e0432d_7dcb5e93e8.jpg';
allpics.push('uploads/pics/immo/1/_processed_/f/6/csm_7a62a201-b2d1-4881-855e-497786e0432d_7dcb5e93e8.jpg');
var pic11 = new Image();pic11.src = 'uploads/pics/immo/1/_processed_/4/b/csm_71f330c7-3567-45e6-9d15-aa28b45afd03_e6fe250419.jpg';
allpics.push('uploads/pics/immo/1/_processed_/4/b/csm_71f330c7-3567-45e6-9d15-aa28b45afd03_e6fe250419.jpg');
var pic12 = new Image();pic12.src = 'uploads/pics/immo/1/_processed_/e/7/csm__461983_9b273a0388.jpg';
allpics.push('uploads/pics/immo/1/_processed_/e/7/csm__461983_9b273a0388.jpg');
var pic13 = new Image();pic13.src = 'uploads/pics/immo/1/_processed_/5/3/csm_634a696b-5542-41e4-8497-051959cabe28_b7c097ffb1.jpg';
allpics.push('uploads/pics/immo/1/_processed_/5/3/csm_634a696b-5542-41e4-8497-051959cabe28_b7c097ffb1.jpg');
var pic14 = new Image();pic14.src = 'uploads/pics/immo/1/_processed_/0/f/csm_9e3e921d-09f5-4aaa-8aab-ce4b3981f1b0_f8d5039616.jpg';
allpics.push('uploads/pics/immo/1/_processed_/0/f/csm_9e3e921d-09f5-4aaa-8aab-ce4b3981f1b0_f8d5039616.jpg');
Weitere Objekte zu Ihrer Suche
Lager- und Produktionsflächen direkt an der S177 und S81 - unweit der Halbleiterindustrie - zum Kauf!
Helle 2-Zimmer-Wohnung in Kleinschachwitz | Eigennutzung oder Kapitalanlage | Balkon & TG-Stellplatz
Erbbaurecht | 7.440 m² Lager-& Produktionsfläche mit Gleisanbindung und im Hafen in Dresden Friedrichstadt
Direkt an der A4 nahe Dresden-Flughafen | Halle mit ca. 1.150 m² & Freifläche ca. 4.400 m² zum Kauf!
Zur Vermietung oder Selbstnutzung - Immobilienpaket nahe Dresden | 14 Gewerbeeinheiten & 21 TG Stellplätze in Coswig zum Kauf
Lager- und Produktionsflächen direkt an der S177 und S81 - unweit der Halbleiterindustrie - zum Kauf!
Zwei Sanierungsobjekte in ruhiger Lage von Dresden zum Kauf | Denkmalgeschützter Bauernhof + ehem. Gasthof
Helle 2-Zimmer-Wohnung in Kleinschachwitz | Eigennutzung oder Kapitalanlage | Balkon & TG-Stellplatz
Kontakt
Telefonkontakt
| Immobilienmakler | |
| Dresden: | 0351 433 130 |
| Leipzig: | 0341 600 539 90 |
| Chemnitz: | 0371 238 710 600 |
| Hausverwaltung | |
| Dresden: | 0351 213 914 60 |
| Mietersprechzeiten | |
| Montag: | 09:00 - 12:00 Uhr 13:00 - 17:00 Uhr |
| Mittwoch: | 09:00 - 12:00 Uhr |
| Donnerstag: | 09:00 - 12:00 Uhr 13:00 - 15:30 Uhr |













































































































































































































































































































































































































































































































































































































































































